Mega Story

Article 1. Vietnam’s “Golden Forests, Silver Seas” Under Siege: Ecosystems in Decline, Global Treasures at Risk

31/07/2025 10:19

Without urgent action, natural values will disappear, and what remains for future generations may be nothing more than regret and blame.

vietnamplus1.png
bai-1-2-.png

Nature and Life Standing Behind Development Calculations

Located about 60 km from Hanoi—the “heart of the nation”—Kim Bảng district in Hà Nam province (now part of Ninh Bình) is known as one of the most active limestone quarrying hubs in northern Vietnam, with nearly 30 operating quarries. This area also hosts extensive natural forests and limestone mountain ecosystems with rich biodiversity, including many rare and endemic species. Especially notable is the Delacour’s langur—one of the 25 most endangered primate species in the world.

However, amid the “current of development,” many mountains in Kim Bảng have been ravaged by quarrying for cement and construction materials. Vast areas of forested mountains—the habitat of many rare and endemic species—have been reduced dramatically.

dji_20250519152707_0116_d.jpg
dji_20250519152452_0108_d.jpg
Close-up of drilling and blasting operations to break through the mountain. (Photo: Hoài Nam/Vietnam+)

According to Mr. Đỗ Mạnh Hùng, former Head of the Kim Bảng Forest Protection Unit, in 1997, when Nam Hà province was newly divided into Hà Nam and Nam Định, Hà Nam had more than 11,000 hectares of forest. For a province with a natural area of just over 86,000 hectares, this forest area was considered a significant “green lung.” Yet today, the province has only more than 5,333 hectares of forested land remaining, with over 1,000 hectares classified as non-forested land.

Notably, among the more than 4,229 hectares of forest concentrated in Kim Bảng, statistics show that over 1,139 hectares are currently used for other purposes (including limestone quarrying, cement production, construction materials, and other economic activities).

Looking nationwide, Deputy Minister of Agriculture and Environment Nguyễn Quốc Trị admitted that nature conservation and biodiversity are under substantial pressure from economic development, climate change, environmental pollution, and forest degradation.

vietnamplus-2-.png

Statistics show that since 2011, more than 22,800 hectares of forests across Vietnam have been lost. Of this, around 13,700 hectares were lost to fires, with the remainder due to illegal logging and other human impacts. On average, Vietnam loses about 2,500 hectares of forest per year.

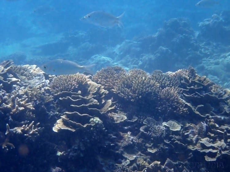
In marine environments, coral reefs, mangroves, and seagrass beds have also suffered severe decline. Research by experts at the Vietnam Administration of Seas and Islands indicates that seagrass ecosystems are facing extremely alarming degradation, with some areas declining by 6–7% per year.

bai-ran-san-ho-thuoc-khu-bao-ton-bien-vuon-quoc-gia-nui-chua.-anh-ttxvn-phat.jpg
A coral reef area within Núi Chúa National Park Marine Protected Area. (Photo: VNA)

More troubling is that forests are being forced to retreat under the pressure of destructive development activities, causing biodiversity to decline and pushing many rare, endemic species—“global treasures”—toward extinction. This issue is of particular concern to conservation experts and agencies.

For example, in Hà Nam, due to forest loss and threats to wildlife from mountain-blasting activities, since 2016, dozens of official documents from Fauna & Flora International (FFI) and relevant ministries and localities have been sent to the Hà Nam provincial authorities, recommending the establishment of a protected area to conserve the world’s second-largest population of the endemic Delacour’s langur (surpassed only by the Vân Long Wetland Nature Reserve in Ninh Bình). Yet to this day, no designated protected zone has been established for this “global treasure” in Kim Bảng.

Sharing with reporters, Mr. Phạm Quang Tùng, Kim Bảng Project Manager of FFI, sighed:
“We are truly saddened and discouraged. For nearly 10 years, we have invested significant funding for technical support and worked tirelessly to help local authorities establish a ‘green home’—a survival space for the Delacour’s langur. Yet today, this endemic, globally important species in Kim Bảng is still forced to coexist with threats and shrinking habitat.”

220bd229543ae264bb2b-1-.jpg
However, after many years of effort and deliberation, the project to establish the above conservation area has yet to receive a clear decision from local government leaders.

Similarly, in Nha Trang Bay, a recent study by the Joint Vietnam-Russia Tropical Science and Technology Research Center revealed that over the past 20 years, this area has lost approximately 191 hectares of coral reefs—equivalent to 12% of the surveyed area. This is an alarming signal for the marine ecosystems of the South Central Coast and for the tourism appeal of one of the world’s most beautiful bays.

From an international perspective, Mr. Patrick Haverman, Deputy Resident Representative of UNDP Vietnam, expressed concern that Vietnam’s natural resources are under increasing pressure. He emphasized that more than one-third of Vietnam’s mammal species are threatened with extinction—an issue not only of national concern but also reflective of a global biodiversity crisis.

Vietnam is home to 25 primate species, several of which—such as the Delacour’s langur—are endemic, found only in this country. Shockingly, 90% of these species are threatened, and among them, five are listed among the world’s 25 most endangered primates.

“This is a deeply worrying reality that demands timely action. Biodiversity loss threatens the foundational elements of our economy, food security, and health,” Mr. Haverman stressed.

vietnamplus-4-.png

Mountains Reduced to Ruins, Communities and Wildlife Left Exposed

Further field investigations by VietnamPlus reporters show that the impacts of “brown” development pressures have not only ravaged countless limestone mountains and reduced habitats for endemic species, but have also severely damaged the living environment of thousands of households—who have endured years of “dust storms” from blasting and cement production.

For more than a decade, in the “hotspot” areas of quarrying and cement production in Kim Bảng, hundreds of households have been forced to live with their doors shut tight, helpless against pollution. Anytime they need to leave home or open doors for natural light, residents face clouds of grey, choking dust.

Mr. Phạm Văn Thuận from Hồng Sơn hamlet shared: “I have two houses, but one has been abandoned because the dust is unbearable. That house is near the road where trucks enter and exit the Long Thành Cement Factory and several other quarries. I used to rent it to workers, but after a while, they all left. The house where my wife and I live, near the road to Bút Sơn Cement Factory, must be kept closed year-round. If we open it for just a few hours, everything is covered with dust. It’s miserable.”

Echoing this distress, Mrs. Nguyễn Thị Minh Hằng from the same hamlet said: “We live here, and honestly, we are powerless against the pollution. For more than 10 years, when it rains, the runoff is polluted with limestone and cement dust. When it’s sunny, dust engulfs everything—from Bút Sơn Cement Factory, from the industrial zones, from stone crushers, from convoys of trucks. We have complained countless times but to no avail.”

Field observations in various periods throughout 2025 showed that at the roads leading to Bút Sơn Cement Factory and the quarries in Kim Bảng, hundreds of heavy trucks move constantly through thick dust clouds. Houses, trees, and surroundings are blanketed in dust, appearing lifeless.

ba-hang-2(1).jpg
Mrs. Nguyễn Thị Minh Hằng, furious at the fact she was constantly complaining but nothing changed. (Photo: Hoài Nam/Vietnam+)

Right in front of VICEM Bút Sơn’s gate—beneath the large sign reading “VICEM Bút Sơn joins hands to protect the environment”—dust storms erupt whenever heavy trucks pass through the factory and quarry entrances. While filming, reporters often saw residents wearing dust-stained clothing, cycling slowly with exhausted movements.

On May 30, 2025, Mr. Trương Văn Hà, Head of the Mineral Resources Division at Hà Nam’s Department of Agriculture and Environment, told reporters that the province has about 100 mineral mines, more than 70 of which—limestone and construction materials—are concentrated in Kim Bảng and Thanh Liêm. He acknowledged that quarrying activities impact the environment.

He reflected candidly: “It would be best if we could preserve the forests. Honestly, some mountain ranges used to be lush and green, but after granting quarrying permits, they now look devastated. So yes, there is certainly the issue of trade-offs. Economic development comes with environmental downsides—blasting, transporting stone, and so on. When the province was still poor, we had no choice but to utilize the natural resources we were given.”

credit-ryan-deboodt_fauna-flora-6-.jpg

To obtain raw material for cement and construction material factories, companies use explosives to blast rock. This activity generates loud noise that disturbs the langur populations living in the area and produces large amounts of dust from both quarrying and transportation.

Nationwide, according to reporters’ findings, over the past decade, natural ecosystems—including national and even world natural heritage sites—have been encroached upon and harmed. Unforgettable cases include Tràng An (Ninh Bình), Hạ Long Bay (Quảng Ninh), Phong Nha–Kẻ Bàng, and Mã Pì Lèng (Hà Giang, now Tuyên Quang).

For example, in Hà Giang (early November 2019), public outrage over an illegal construction on the Mã Pì Lèng Pass (Mèo Vạc) had barely settled when images of mountains being blasted and flattened to build a spiritual–cultural tourism complex near Lũng Cú Flagpole—a national heritage site at the northernmost point of Vietnam—sparked renewed controversy. Mountains were torn apart, leaving raw, red scars on the landscape.

trong-anh-nha-nghi-nha-hang-panorama-ma-pi-leng.-anh-nguyen-chien-ttxvn.jpg
Illegal construction that caused public outrage on Mã Pí Lèng Pass that had later been dismantled. (Photo: VNA)

Also in 2019, the Ministry of Culture, Sports, and Tourism raised concerns about rampant concretization in Hạ Long Bay’s World Natural Heritage area, where many unauthorized structures were built within the core zone. The Ministry of Natural Resources and Environment also issued documents requesting strict handling of violations related to projects lacking environmental impact assessment approval.

Although these cases were eventually addressed, conservation experts emphasize that once natural heritage is damaged, even dismantling illegal structures may require decades—or even centuries—for ecosystems and vegetation to recover. More importantly, original heritage values could be permanently lost.

These incidents may only be the “tip of the iceberg,” yet they stand as costly lessons and loud warnings for local authorities to reassess their approach to conserving natural heritage. Without urgent action, natural values will disappear, and what remains for future generations may be nothing more than regret and blame.

author-info.png

(0) Bình luận
© Bản quyền thuộc về VietnamPlus, TTXVN.
POWERED BY ONECMS - A PRODUCT OF NEKO
Article 1. Vietnam’s “Golden Forests, Silver Seas” Under Siege: Ecosystems in Decline, Global Treasures at Risk